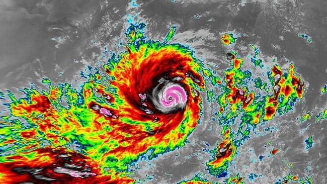
- Tekanan udara rendah di pusat sistem
- Pergerakan angin yang berputat menguat
- Potensi cuaca ekstrem seperti hujan lebat, badai petir dan gelombang tinggi
Indonesia Dikepung 3 Siklon, Ini Definisi, Jenis dan Karakteristiknya

- Definisi siklon: sistem cuaca bertekanan rendah dengan pusaran angin, awan tebal, hujan lebat, dan angin kencang.
- Jenis-jenis siklon: tropis terbentuk di wilayah tropis dengan energi dari penguapan air laut, subtropis terbentuk di wilayah peralihan antara daerah tropis dan lintang menengah.
- Proses terbentuknya siklon tropis: gangguan atmosfer di atas laut hangat, tekanan udara menurun, sirkulasi tertutup, depresi tropis, badai tropis, dan nama resmi sebagai siklon tropis.
Istilah siklon akhir-akhir ini semakin santer kita dengar. Indonesia memang sedang dilanda fenomena cuaca ekstrem yang mengakibatkan hujan lebat dan angin kencang di sejumlah wilayah. Badan Meteorologi, Klimatologi dan Geofisika (BMKG) pun mengeluarkan peringatan dini terkait munculnya bibit siklon tropis yang bergerak di sekitar wilayah Indonesia. Bukan hanya satu, melainkan ada 3 jenis siklon yang sedang mengepung Indonesia saat ini. Lantas, apa itu siklon?
1. Definisi siklon

Siklon adalah sistem cuaca bertekanan rendah yang ditandai dengan pusaran angin yangb ererak menuju pusat tekanan rendah tersebut. Siklon biasnaya disertai awan tebal, hujan lebat dan angin kencang. Di Belahan Bumi Selatan (BBS), termasuk wilayah Indonesia, angin dalam siklon berputar searah jarum jam, sedangkan di Belahan Bumi Utara (BBU) angin berputar lawan arah jarum jam.
Karakteristik utama siklon meliputi:
2. Jenis-jenis siklon

Berdasarkan proses pembentukannya, siklon dibagi menjadi dua jenis utama, yaitu:
a. Siklon Tropis
Siklon tropis terbentuk di wilayah tropis di atas laut dengan suhu permukaan yang hangat. Siklon ini memperoleh energi dari penguapan air laut dan memiliki struktur yang terorganisir. Dampaknya dapat berupa angin sangat kencang, hujan lebat, serta gelombang tinggi.
b. Siklon Subtropis
Siklon subtropis terbentuk di wilayah peralihan antara daerah tropis dan lintang menengah. Siklon ini memiliki karakteristik gabungan dan umumnya lebih lemah dibandingkan siklon tropis serta tidak selalu memiliki mata siklon yang jelas.
3. Proses terbentuknya siklon tropis

Di sekitar wilayah Indonesia, siklon tropis sering diawali oleh kemunculan bibit siklon tropis yang diberi kode seperti 91S, 93S, atau 96S. Huruf S (south) menunjukkan bahwa sistem tersebut berada di Belahan Bumi Selatan. Bibit siklon merupakan tahap awal yang berpotensi berkembang menjadi siklon tropis.
Proses terbentuknya siklon tropis secara umum melalui beberapa tahapan:
- Gangguan atmosfer di atas laut hangat, ditandai dengan pertumbuhan awan konvektif yang intens.
- Tekanan udara menurun dan angin mulai bergerak menuju pusat tekanan rendah.
- Terbentuk sirkulasi tertutup, sehingga sistem berkembang menjadi depresi tropis.
- Jika kondisi mendukung, seperti suhu laut yang hangat dan geseran angin yang lemah, sistem akan menguat menjadi badai tropis.
- Setelah mencapai kekuatan tertentu, sistem tersebut resmi dinamai sebagai siklon tropis.
Jika bibit siklon terus menguat, sistem tersebut dapat berkembang menjadi siklon tropis yang diberi nama. Contohnya adalah Siklon Tropis Senyar dan Siklon Tropis Bakung yang terbentuk di wilayah Samudra Hindia selatan Indonesia. Walaupun pusat siklon tidak berada tepat di atas daratan Indonesia, dampaknya dapat dirasakan berupa peningkatan curah hujan, angin kencang, dan gelombang tinggi di perairan selatan Indonesia.
4. Tiga siklon sedang mengepung Indonesia

Menurut laporan BMKG, saat ini Indonesia sedang dikepung oleh lebih dari satu sistem siklon tropis dan bibit siklon secara bersamaan. Kondisi ini meningkatkan potensi cuaca ekstrem di berbagai wilayah. Tiga sistem yang tercatat antara lain:
- Siklon Tropis Bakung yang berada di barat daya Lampung, berpotensi memicu hujan lebat, angin kencang, dan gelombang tinggi di wilayah barat dan selatan Indonesia.
- Bibit Siklon Tropis 93S yang terpantau di selatan Bali dan Nusa Tenggara, berpotensi meningkatkan curah hujan serta gelombang laut di wilayah tersebut.
- Bibit Siklon Tropis 95S yang berada di perairan selatan Papua, berpotensi memengaruhi cuaca di wilayah timur Indonesia.
BMKG mengingatkan bahwa meskipun pusat siklon berada di luar wilayah Indonesia, dampaknya tetap dapat meluas ke wilayah daratan dan perairan Indonesia.
Siklon merupakan fenomena cuaca ekstrem yang perlu dipahami oleh masyarakat Indonesia. Mulai dari bibit siklon seperti 93S dan 95S hingga siklon tropis bernama seperti Senyar dan Bakung, seluruh sistem ini memiliki potensi dampak terhadap cuaca dan kondisi laut. Dengan memahami karakteristik, jenis, serta perbedaan istilah siklon, badai, dan topan, masyarakat diharapkan dapat lebih waspada dan responsif terhadap peringatan dini cuaca ekstrem. Stay safe, Bela!



















